We use cookies to ensure our site functions properly and to store limited information about your usage. You may give or withdraw consent at any time. To find out more, read our privacy policy and cookie policy.
Manage Cookies
A cookie is information stored on your computer by a website you visit. Cookies often store your settings for a website, such as your preferred language or location. This allows the site to present you with information customized to fit your needs. As per the GDPR law, companies need to get your explicit approval to collect your data. Some of these cookies are ‘strictly necessary’ to provide the basic functions of the website and can not be turned off, while others if present, have the option of being turned off. Learn more about our Privacy and Cookie policies. These can be managed also from our cookie policy page.
Strictly necessary cookies(always on):
Necessary for enabling core functionality. The website cannot function properly without these cookies. This cannot be turned off. e.g. Sign in, Language
Analytics cookies:
Analytical cookies help us to analyse user behaviour, mainly to see if the users are able to find and act on things that they are looking for. They allow us to recognise and count the number of visitors and to see how visitors move around our website when they are using it. Tools used: Google Analytics
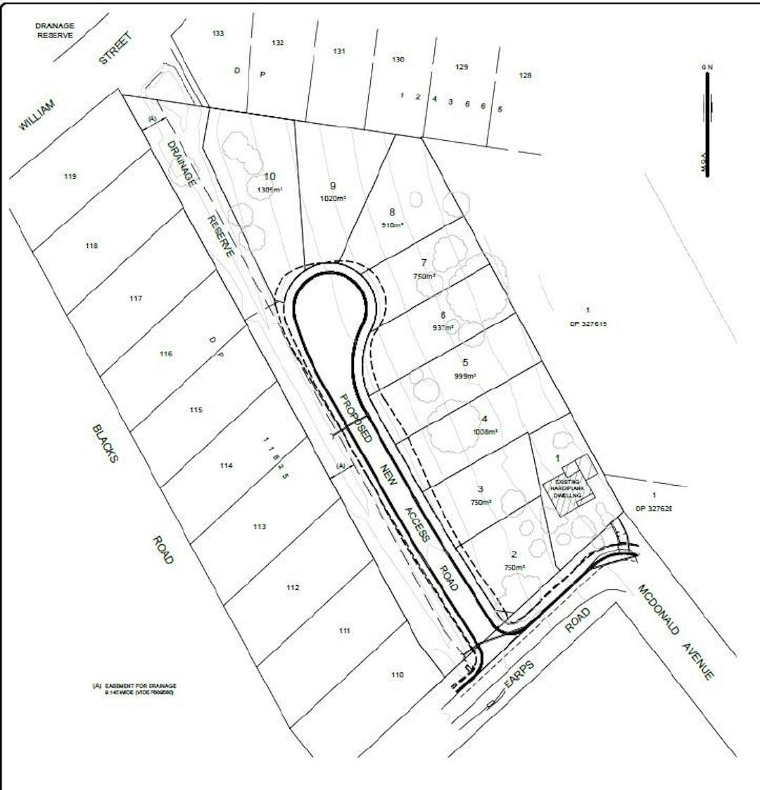
Notice is given that Cessnock City Council in accordance with the New South Wales Roads Act 1993 is seeking public comment in regards to a road naming proposal in connection with a subdivision at Earps Road Paxton. This stage of the subdivision includes the creation of one (1) new public road.
The proposal names include;
Wedgetail Close
You can see an image of the proposed new access road location map here:
Notice is given that Cessnock City Council in accordance with the New South Wales Roads Act 1993 is seeking public comment in regards to a road naming proposal in connection with a subdivision at Earps Road Paxton. This stage of the subdivision includes the creation of one (1) new public road.
The proposal names include;
Wedgetail Close
You can see an image of the proposed new access road location map here:
The personal information (e.g. Name, address and contact details) provided in your submission is being collected in the processing of your submission relating to the Proposed Road Naming - Wedgetail Close. The information collected will be used for the purpose outlined, related administrative functions, compliance and complaint handling, internal auditing, and in accordance with Council's Privacy Management Plan and Privacy Statement which can be found on Council's website.
Intended Recipients
Relevant Council officers and councillors.
Supply
Supplying personal information in your submission is required.
Consequence of non-provision
If you do not supply your personal information, Cessnock City Council cannot receive the submission or update you on the progress of the Plan.
Disclosure
Your information may also be disclosed to Transport for New South Wales, and any other relevant public agency that has an interest.
Storage and Security
Your personal information will be kept in Council's Information Management System in accordance with the relevant legislation. Council's address is 62-78 Vincent Street CESSNOCK NSW 2325.
Access
You may access, correct or update your personal information by visiting Council’s website, contacting Council's Privacy Contact Officer on 4993 4100 or by sending an email to council@cessnock.nsw.gov.au.
If you want to know more about Council's obligations regarding your personal information or what rights you have, contact the Information and Privacy Commission or visit their website ipc.nsw.gov.au.